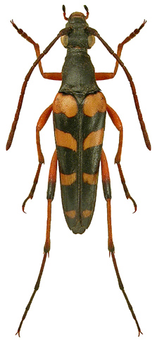
Strangalia attenuata es una especie de escarabajo longicornio del género Strangalia, categorizada en la tribu Lepturini, de la subfamilia Lepturinae.[1] Fue descrita por Linné en 1758.[1]
Descripción
Mide 9-18 mm de longitud.[1]
Distribución
Se distribuye por Albania, Alemania, Austria, Bélgica, Bielorrusia, Bosnia y Herzegovina, Bulgaria, China, Córcega, Crimea, Croacia, Dinamarca, España, Estonia, Finlandia, Francia, Grecia, Hungría, Irán, Italia, Japón, Kazajistán, Letonia, Lituania, Luxemburgo, Macedonia, Moldavia, Mongolia, Noruega, Países Bajos, Polonia, Rumania, Rusia europea, Eslovaquia, Eslovenia, Suecia, Suiza, Chequia, Turquía y Ucrania.[2]
Referencias




